Una pareja de ciudadanos bolivianos que se desplazaban en un colectivo fue detenida en el paso internacional «Horacio Guzmán», en La Quiaca, cuando pretendían ingresar con 192 cápsulas con cocaína que habían ingerido. Más de dos kilos de la droga fue secuestrada y valuada en más de 47 millones de pesos. Los detenidos provenían de La Paz y tenían como destino la provincia de Buenos Aires.
En esas circunstancias, los agentes advirtieron comportamientos sospechosos en dos pasajeros, lo que derivó en una inspección más minuciosa.
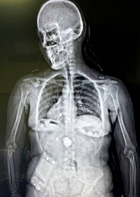
Allí, con la nueva tecnología inaugurada recientemente, se les realizó un escáner corporal que permitió detectar cuerpos extraños en la zona abdominal. Sin embargo, el hombre y la mujer implicados negaron haber ingerido cápsulas con estupefacientes.
Mediante estudios de rayos X, se confirmó la presencia de elementos extraños en sus organismos, por lo que quedaron internados bajo custodia policial.

Horas después, los sospechosos evacuaron un total de 192 cápsulas, 96 cada uno. Mientras que la prueba de campo narcotest arrojó positivo para cocaína y el peso total de la sustancia incautada fue de 2 kilos 200 gramos, cada uno llevaba poco más de un kilo de la droga en su estómago.
De acuerdo al aforo aduanero, la droga tendría un valor superior a los 47 millones de pesos.
Todo fue secuestrado y los acusados quedaron detenidos a disposición de la Justicia Federal, en dependencias del Escuadrón 21 de Gendarmería Nacional.
También se estableció que los acusados, un hombre y una mujer de nacionalidad boliviana que intentaban ingresar a la Argentina con cápsulas de droga ingeridas, viajaban en un ómnibus de larga distancia proveniente desde La Paz con destino a Buenos Aires.
El Tribuno Jujuy
